On the evening of Sunday, March 26th, 2017, severe thunderstorms affected portions of southern Oklahoma and North Texas. These storms were scattered, as predicted in our forecasts leading up to the event, and many people received no rain. We also expected that thunderstorms forming along the dry line would quickly develop updraft rotation (i.e., become a supercell), and would be capable of producing very large hail ≥2.0″ in diameter along with damaging outflow winds in excess of 60mph.
Prior to the event, model-simulated soundings had indicated strong, unidirectional winds aloft, a configuration favorable for splitting storms. This was confirmed on Sunday afternoon by a special mid-afternoon weather balloon launched at 20z (3 pm) by the National Weather Service in Fort Worth.


As seen in the special 3 pm sounding (above), lapse rates are steep (rapid decrease in temperature with height) with no capping inversion to suppress convection. Atmospheric instability, or CAPE (convective available potential energy), was sampled between 1,000-2,500 J/kg. The combination of fairly large CAPE and a veering storm-relative wind profile suggested that supercells will pose a high probability for very large hail during the latter part of the evening. A veering storm-relative wind is crucial for hailstone growth and size sorting of hydrometeors within the updrafts of supercells; it is also an indicator that when the storm-relative wind veers with height, updrafts will rotate cyclonically (counterclockwise).
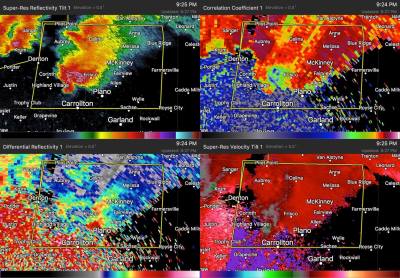
As supercells formed along the dryline, they quickly strengthened and began to resemble ZDR arcs during their developing stages. When ZDR arcs are observed on the dual-polarimetric radar imagery, it is an indicator that a supercell is beginning to strengthen and that the hydrometeors (including small and big raindrops, and small to very large hailstones) are beginning to be sorted within the thunderstorm’s updraft. ZDR arcs are also an indicator that the storm-relative winds are veering with height.

The above dual-polarimetric radar image depicts the intense supercell that produced hail larger than 4.00″ in diameter Sunday night; there were reports of hail near softball size according to preliminary local storm reports. This supercell was a right-moving supercell. In most cases, supercells move to the right of the mean wind and that is seen in the first Doppler radar image at the beginning of the article.

As a result, the first supercell of the day split into left and right-moving supercells. The left-moving supercell moved off to the north-northeast, and the right-moving supercell that progressed eastward towards Denton, Texas, took advantage of deeper moisture within the effective inflow layer (the layer at which air flows into the storm).
As time progressed, genesis of additional thunderstorms occurred and a right-moving supercell developed west of Saginaw, Texas. With two right-moving supercells moving eastward towards Saginaw and Denton, respectively, it was a matter of time before the supercells merged. The supercell moving east towards Saginaw interacted with the northerly supercell’s inflow layer region, and it was ingested into the supercell that was moving east towards Denton. This process can be seen through the three Doppler radar images below.



Several storm-splits and storm-mergers occurred on the evening of March 26th. These supercells interacted with one another, and resulted in an intense supercell that moved over the northern part of the Dallas/Fort Worth metroplex. Due to the storms merging together into one large supercell north of the metroplex, the intensity of the updraft increased tremendously and the storm was warned for hail to baseball size (2.75″ in diameter). There were, however, many reports of hail larger than baseballs, including some near softball size as mentioned above.

Below is a table of the top 10 severe hail reports that occurred across North Texas on March 26th. The majority of the significant hail (≥2.0″ in diameter) occurred in Denton County as the supercells merged together, and intensified rapidly.
| Location | County | State | Hail Size |
|---|---|---|---|
| 2mi N Corinth | Denton | Texas | 4.25” |
| Northlake | Denton | Texas | 2.75” |
| Argyle | Denton | Texas | 2.75” |
| 2mi W Copper Canyon | Denton | Texas | 2.75” |
| 1.5mi NW Lewisville | Denton | Texas | 2.75” |
| Lake Dallas | Denton | Texas | 2.75” |
| Corinth | Denton | Texas | 2.50” |
| 2mi NNW Argyle | Denton | Texas | 2.00” |
| McKinney | Collin | Texas | 2.00” |
| Frisco | Collin | Texas | 2.00” |
References
Kumjian, Matthew R., and Alexander V. Ryzhkov. Storm-Relative Helicity Revealed from Polarimetric Radar Measurements (2008)
Thompson, Rich. “EXPLANATION OF SPC SEVERE WEATHER PARAMETERS.” Introduction Page. NOAA NWS Storm Prediction Center