Category 5 hurricanes in the Atlantic Basin: Interesting statistics

This page provides some basic, but very interesting statistics about category 5 hurricanes in the Atlantic basin since 1851.  Category 5 storms are extremely rare.  In fact, for the Atlantic Basin (including the Gulf of Mexico and Carribbean Sea) only 34* category 5 storms (~4% of all hurricanes) are found in the historical record.  In … Read more

Hurricane Melissa’s Mesovortex: Understanding the Small-Scale Vortices Within the Eye

Hurricane Melissa made history this week as one of the strongest Atlantic hurricanes ever recorded, devastating Jamaica as a Category 5 storm with maximum sustained winds of 185 mph. But beyond the raw power of this catastrophic hurricane, satellite imagery captured a fascinating atmospheric phenomenon that meteorologists have been studying for decades: mesovortices spinning within … Read more

Google DeepMind AI: The Future Hurricane Forecast Model and What to Know About It

2025 has marked a pivotal turn for artificial intelligence in weather forecasting. Google DeepMind’s AI models are at the forefront of a new era, making waves among meteorologists and bringing public attention to how hurricanes are tracked and predicted. The robust conversation around DeepMind’s performance highlights not only groundbreaking tech, but the expert debate that … Read more

Humberto and Imelda: Two Major Atlantic Hurricanes Could Interact in Rare Fujiwhara Effect

Atlantic Fujiwhara Hurricane Records Comparison 2025: Could Humberto and Imelda Dance?The 2025 Atlantic hurricane season has already been one for the record books, and now a potential Fujiwhara interaction between Hurricane Humberto and Tropical Disturbance 94L (likely to become Tropical Storm or Hurricane Imelda) has caught the attention of meteorologists and storm-watchers alike. While rare, … Read more

Hurricane Katrina: The Dire NWS Warning That Saved Lives

On this, the 20th anniversary of Hurricane Katrina’s final landfall east of New Orleans, I wanted to share some graphics and the very rare, dire warning issued the National Weather Service in Slidell, Louisiana that likely saved many, many lives. Radar Loop at Landfall    Satellite Loop at Landfall    Location of the NWS Brief … Read more

20 Years Since Hurricane Katrina’s Dire Forecast

As the peak of the 2025 Atlantic Hurricane Season nears, it was 20 years ago, on the morning of August 28, 2005, that the National Weather Service in Slidell, which has responsibility for New Orleans, Louisiana, issued a dire bulletin in advance of Hurricane Katrina as she headed towards the Gulf Coast. At the time of … Read more

Hurricane Erin: Atlantic’s First Hurricane of 2025

Hurricane Erin Updates Hurricane Erin Fatality Total: 12{3 Remain Missing} ➼9 in São Vicente, Cape Verde {+2 Missing}➼2 off U.S. East Coast {+1 Missing}•1 near Fire Island National Seashore•1 near Hampton Beach, New Hampshire 7 Dead from Tropical Storm Erin in Cape Verde At least seven people have died on the island of São Vicente, … Read more

Deaths Caused By Hurricane Beryl and the 2024 Hurricane Season

NHC’s Atlantic Tropical Cyclone Reports for the 2024 hurricane season have been posted, the final Atlantic tropical cyclone track map and summary table: Deaths Caused By Hurricane Beryl in The United States Beryl directly caused 14 deaths in the United States, with 11 of these occurring in Texas,one in Louisiana, and two in Vermont. In … Read more

2025 Tropical Storm and Hurricane Names

Did you know your next big storm might be called “Hurricane Karen” or “Tropical Storm Wendy”? Hurricane names aren’t just random – they follow a carefully planned system designed to make communication about these dangerous storms easier. For example, it’s much simpler for meteorologists and newscasters to say “Hurricane Hector” rather than trying to remember … Read more

Record-Setting Hurricane Season: Beryl was the earliest Atlantic Cat 5; Record 178 Tornadoes from Hurricanes

Hurricane Beryl was the earliest Atlantic basin Category-5 hurricane on record A major part of the story of the 2024 tornado season has been plentiful tornadoes spawned from hurricanes. Hurricane Beryl, Hurricane Debby, Hurricane Helene and Hurricane Milton caused a combined 178 tornadoes. Hurricane Beryl was the earliest Atlantic basin Category-5 hurricane on record. It … Read more

Hurricane Milton Spaghetti Model and Cone Updates

⚠️Milton is Now a Category 5 Hurricane⚠️If the storm stays on the current track, it will be the worst storm to impact the Tampa area in over 100 years. As Monster Hurricane Milton continues to strengthen in the Gulf, the Governor has issued EO 24-214 ahead of potential landfall on Florida’s west coast. This EO … Read more

Heartbreak and Heroism: Inside North Carolina’s Flood Zone

Hurricane Helene unleashed catastrophic flooding across western North Carolina, leaving behind heartbreaking stories of loss and survival. The hardest-hit areas witnessed unimaginable scenes: Despite the devastation, stories of resilience and community spirit are also emerging. Volunteers are arriving with mules to deliver supplies to hard-to-reach areas, and first responders are working tirelessly to rescue those … Read more

Worse Than 1916″: Helene Shatters Asheville’s Flood Record

Hurricane Helene has become the 2nd deadliest hurricane over the past 50 years for the United States. Over 170 deaths and over 600 people remain missing. The recent flooding in Asheville caused by predecessor rain events of Hurricane Helene serves as a chilling reminder of the devastating power of weather systems and the importance of … Read more

Record-Breaking Hurricane Beryl Left Millions without Power in Texas

“Latest Beryl Devastation was similar to the Solar Eclipse but with a line of Thunderstorms” Hurricane Beryl will be talked about for a long time by many for memorable tropical systems. Over 200 tornado warnings were issued from July 8th to 10th, the most since Hurricane Ivan in 2004! The strongest tornado so far occurred … Read more

Ophelia becomes a rare major hurricane south of the Azores

On the morning of October 14th, 2017, at 11:00am AST, Hurricane Ophelia was upgraded to a rare major hurricane south of the Azores Islands in the far northeastern Atlantic. Ophelia is a Category-3 hurricane on the Saffir-Simpson scale, with maximum sustained winds of 115mph. Three days earlier, on October 11th, Ophelia became the 10th consecutive … Read more

Hurricane Matthew: One of the Atlantic’s Deadliest Since 2005

On September 27th, 2016, a tropical depression had formed in the eastern Atlantic Ocean that had traversed across the Atlantic Ocean as a disturbance of thunderstorms days prior. The next day on September 28th, a tropical storm formed. Its name: Matthew.  Over the next few days, Matthew would undergo a rapid intensification process and strengthened … Read more

Where is Hurricane Matthew headed?

Important Update #1 [Monday 10/3 at 3 pm EDT] Since this page was created 8 hours ago, new model data have continued to trend the track of Hurricane Matthew westward, closer to the eastern Florida coast, tracking northeast along the coasts of Georgia, South Carolina, and North Carolina.  If future data continue to show this … Read more

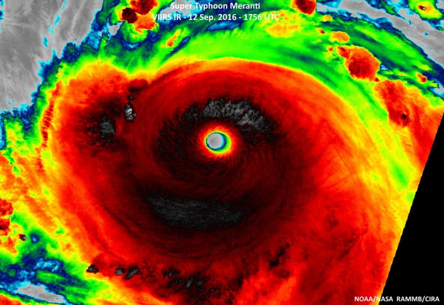
Super Typhoon Meranti: 2016’s Strongest Storm on Earth

Image of Super Typhoon Meranti

This is an amazing satellite loop of Super Typhoon Meranti tracking toward southern Taiwan, with the eye passing just south of Taiwan’s southern tip. Meranti is now headed for the northern Philippines & southeast China. As of late Tuesday afternoon (9/13/16), Super Typhoon Meranti had become the strongest storm on Earth so far in 2016, … Read more

A tropical disturbance doesn’t need a name to be catastrophic

A strong mid-latitude cyclone over the southern U.S. resulted in widespread flash flooding from August 10th-14th, where rainfall totals were in excess of 30.00″ (inches) in some areas. Catastrophic flooding occurred across the Deep South, where over 1,000 motorists were stranded on Interstate 12 in eastern Louisiana. Since the flooding, everyone stranded on the interstate … Read more

Tropical Storm Colin Becomes Earliest “C” Storm on Record (June 5, 2016)

On Sunday June 5, 2016, Tropical Storm Colin formed in the Gulf of Mexico, making it the earliest “C” tropical storm on record.  View iWeatherNet’s tropical cyclone page for more information. See Also: January 2016 Hurricane Alex: Strongest Atlantic Winter Hurricane on Record The Earliest “C” Storms Found in the Historical Record For the Atlantic … Read more

Hurricane Alex: Strongest Atlantic Winter Hurricane on Record

January 14, 2016 (1 pm EST) Max-Sustained Wind: 75 kt / 85 mph / 981 mb / Category 1 View the list of active tropical cyclones Interesting Statistics about Hurricane Alex Alex is only the 2nd-known Atlantic hurricane to form during the month of January since records began (partial record as far back as 1842). … Read more

Tropical Storm Alex in January? How rare are winter tropical storms?

Special (1/14/2016) Alex became a hurricane on Thursday Jan 14, 2016 Update [Wednesday January 13, 2016 at 5 pm AST] Sub-Tropical Storm Alex has formed in the East Atlantic.  As discussed below, Alex is only the second-known storm to form during the month of January in the 174-year database (1842-present). ➡︎ See also:  Forecast #1 … Read more

What is the Difference Between a Hurricane and a Typhoon?

A hurricane is the exact same meteorological phenomenon as a typhoon. The difference is simply a function of the storm’s location relative to the International Date Line (180ºW).  A “hurricane” west of the International Date Line (IDL) is called a typhoon.  The term is believed to have its origins in Sinitic, one of the Chinese … Read more

Hurricane Records Broken As 3 Major Pacific Hurricanes Coexist

On August 29, 2015, for the first time on record, three *major* hurricanes were active simultaneously in the central/eastern Pacific (east of the International Date Line, 180ºW).  A major hurricane is defined as a category 3 or higher.  Yet another record was set at 10 pm CDT. 8 pm CDT 8/29: Three Major Hurricanes Set … Read more